Seite 8 - H_2008_02-03

Basic HTML-Version

OSTTIROLER
NUMMER 2-3/2008
8
HEIMATBLÄTTER
In allen Bereichen der Welt ver-
teilen sich Pflanzen und Tiere durch
natürliche Ausbreitung oder durch
Verschleppung, bei menschlicher
Ursache oft gewollt, weniger passiv
mitgebracht. Der Klimawandel macht
sich seit Jahrzehnten eher zunehmend
bemerkbar und bringt Lebensbedin-
gungen für neue Arten. „Die Erde hat
Fieber, unser Planet ist krank. Und der
Mensch ist der Virus, der das Fieber
in die Höhe treibt“ (IPCC-Bericht
2007:29 in: Müller/Fuentes/Kohl),
dort viele weitere Einzelheiten).
Neu registrierte Arten von Pflan-
zen (Neophyten) oder Tieren (Neo-
zoen) seit dem Stichjahr 1492 wer-
den bereits in dicken Büchern ver-
zeichnet (Neobiota), für Österreich
z. B. bei ESSL & RABITSCH 2002,
seitdem sind jedes Jahr neue dazu
gekommen, auch in Osttirol (KOF-
LER in INGRUBER 2005). – Die
UNO kürte das Jahr 2008 zum Jahr
der Kartoffel, die von Südamerika
eben nach der Entdeckung Amerikas
1492 importiert wurde und nachträg-
lich dazu eingeschleppt wurde der
schädliche Kolorado- oder Kartoffel-
käfer (Leptinotarsa decemlineata)
der dort auf anderen Nachtschatten-
gewächsen lebte und sich umsiedeln ließ.
Nur zwei besonders auffallende große
und schöne Insekten sollen hier verzeich-
net werden, vor allem auch um die Auf-
merksamkeit auf unbekannte Pflanzen und
Tiere zu wecken, jede Mitteilung dazu ist
wichtig.
Der Asiatische Marienkäfer“
(Har-
monia axyridis) bekam den deutschen
Namen nach seiner Herkunft:
Ursprünglich in Ostsibirien, Korea,
China, Japan wurde das Tier als nützlicher
Blattlaus-Vertilger in Amerika (Hawaii,
Kalifornien, Kanada) ausgesetzt, später in
Russland, der Ukraine, in Frankreich, seit
2001 in Belgien, den Niederlanden und
Großbritannien bekannt. Ab 2002 zuneh-
mend auch in Deutschland und später in
Österreich, 2004 in Basel-Stadt, erst 2007
in Osttirol (KLAUSNITZER 2004, 2007).
für unsere Literatur vielen Dank.
Damit wird die Zahl unserer Marien-
käfer-Arten auf 59 erhöht, immer
noch bescheiden für 4.000 weltweit
und Deutschland über 80.
Die Abbildung zeigt das Tier (6-8
mm) sehr gut, eine Beschreibung ist
daher nicht nötig, die Larve frisst of-
fenbar wie auch viele andere Marien-
käfrer Blattläuse.
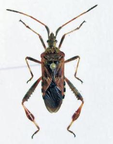
Die Amerikanische Rand- oder
Leder-Wanze
(Leptoglossus occiden-
talis) ist eine von mehreren aus
Amerika eingeschleppte Art. Mit 16
bis 20 mm ist sie groß und gut kennt-
lich an den blattartig verbreiterten
Hinterschienen (s. Abb.). In Österreich
wurde sie 2005 in Tirol, Kärnten und
Wien festgestellt. Das erste Tier in
Osttirol fand die Frau des Autors am
11. November 2007 an der Haustür, das
zweite Stück wurde übergeben mit dem
Datum 29. September 2007 aus Lavant
Nr. 45: H. Deutsch, dort auch später
noch eine weitere Beobachtung, offen-
bar jeweils auf der Suche nach Winter-
quartieren in den geheizten Räumen.
Nach Ausbreitungen von Kalifornien
nach Westen gelang 1999 in Vicenza
der erste Nachweis in Europa, dann
die Schweiz 2002, Slowenien 2003,
Spanien und Kroatien 2004, Slowenien
2005, passive Verschleppung ist möglich.
Die Verschleppung erfolgt durch Ziergehölze
und Fruchtzapfen, die Tiere saugen an den
Blüten und jungen Samen von Nadelhölzern
(RABITSCH & HEISS 2005).
Diese Art ist eine von mehreren Wanzen-
arten, die in den letzten Jahren auch bei
uns anzutreffen waren, z. B. die Netzwanze
Corythucha ciliata (an Platane), die aus
Süd- und Südost-Europa eingewanderten drei
Boden- oder Langwanzen: Arocatus longi-
ceps (an Laubbäumen), Dicranocephalus
albipes (trocken-warme Offenlandschaften)
und Orsillus depressus (Scheinzypresse,
Thuja, Wacholder). Die einheimischen Tiere
wurden durch den Spezialisten Prof. Dr. E.
Heiss, Innsbruck, bestätigt, dafür vielen Dank.
Literatur:
ESSL, F. & W. RABITSCH (2002): Neobiota in Öster-
reich. Pp. 432. – Umweltbundesamt/Federal Environment
Agency – Austria, Wien.
KLAUSNITZER, B. (2004): Harmonia axyridis (Pallas,
1773) in Basel-Stadt (Coleoptera, Coccinellidae). – Mitt.
Entomol. Ges. Basel (54 (3/4):115-122.
KLAUSNITZER, B. (2007): Zum zeitlichen und räum-
lichen Ablauf der Besiedlung des Freistaates Sachsen durch
Harmonia axyridis (Pallas, 1773) (Coleoptera, Coccinelli-
dae). – Mitt. Sächs. Entomol. 77:3.
KOFLER, A. (2005): Ausgewählte adventive Tierarten
in Osttirol (pp. 167-196). – in: INGRUBER R. (Hrsg): Ost-
tirol Geschichte – Volkskunde – Kunst.-Studienverlag Inns-
bruck-Wien-Bozen, Innsbruck pp. 2008.
MÜLLER, M., U. FUENTES, H. KOHL (Hrsg.) (2007):
Der UN-Weltklimareport, Bericht über eine aufhaltsame
Katastrophe. Pp. 429. – Verl. Kiepenheuer &Witsch, Köln.
RABITSCH, W. & E. HEISS (2005): Leptoglussus
occidentalis Heidemann, 1910, eine amerikanische
Adventivart auch in Österreich aufgefunden (Heteroptera:
Coreidae). – Ber. nat.-med. Verein Innsbruck 92:131-135.
WACHMANN, E., A. MELBER & J. DECKERT (2007):
Wanzen Bd. 3 Pentatomorpha 1, pp. 272, Verl. Geocke &
Evers, Keltern.
Ein Stück dieser schönen, bunten, recht
großen Art wurde in Lienz-Stadt: Arkaden
an der Wand im Krieger-Friedhof bei St.
Andrä am 5. Oktober 2007 gefunden (im-
portiert?) und durch Prof. Dr. B. Klausnit-
zer, Dresden, bestimmt. Auch dafür und
Alois Kofler
Zwei neue Einwanderer: Asiatischer
Marienkäfer, Amerikanische Randwanze
Harmonia
axyridis:
Ausschnitt:
Halsschild-
zeichnung.
Alle Fotos:
H. Deutsch,
Lavant
Asiatischer
Marienkäfer:
Harmonia
axyridis.
Amerikanische Randwanze (Leptoglossus occidentalis).